K prodeji, pozemky - stavební / bydlení, 1544 m2, Plzeň

 
 
 
exkluzivně
 
Lokalita:
Plzeň
 
 
Cena:
6 169 000 Kč / za nemovitost
 
 
Nabídněte prodejci Vaši cenu 
 
 

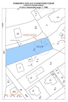
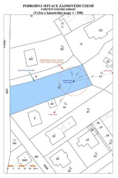
K prodeji nabízíme rovinatý pozemek o výměře 1544 m2 ve vyhledávané plzeňské městské části Lhota. Pozemek se nachází v zastavitelném území města, nedaleko místní návsi, v lokalitě označené v platném územním plánu jako 10_1 Lhota, určené především pro bydlení v nízkopodlažních rodinných domech. Dle územního plánu jsou přípustné také stavby a zařízení pro ubytování, školství, výzkum a vývoj, administrativu, volnočasové aktivity, sport, zdravotnictví, sociální a kulturní účely. Nízkopodlažní zástavba znamená stavby s maximálně 3 nadzemními podlažími (maximální konstrukční výška podlaží 4,0 m) nebo do výšky 10 metrů. Podél hranice pozemku vede inženýrská infrastruktura: elektrická síť NN (ČEZ Distribuce), plynovod STL (GasNet), komunikační vedení (CETIN), splašková kanalizace (Plzeňský kraj) – k pozemku je již vedena odbočka z hlavního řadu, vodovod (VODÁRNA PLZEŇ), avšak napojení na vodovodní řad je v současné době pozastaveno. Do doby obnovení možnosti napojení je proto nutné vybudovat vlastní zdroj vody. Z tohoto důvodu byl zpracován hydrogeologický posudek vrtané studny a vyhotovena dokumentace pro povolení stavby „Vrtaná studna pro individuální zásobování vodou“. Navrhované parametry této stavby zahrnují vrtanou studnu do maximální hloubky 40 metrů, která zajistí dostatečnou dodávku vody pro plánovanou rodinnou výstavbu. Lhota nabízí velmi dobrou občanskou vybavenost. V místě je mateřská školka, jejíž rozšíření je plánováno, dále obchod s potravinami, hospůdka a kavárna s dětským hřištěm. Zastávka MHD (linky BUS č. 26 a 42) je vzdálena pouhé 3 minuty chůze od pozemku. Výborná dopravní dostupnost je zajištěna i díky rychlému napojení na dálnici D5. Tato lokalita nabízí ideální podmínky pro klidné rodinné bydlení v blízkosti přírody s kompletní občanskou vybaveností. Konečná cena zahrnuje provizi, kompletní právní servis a advokátní úschovu kupní ceny a činí 6.169.000 Kč. Případnou hypotéku Vám rádi zajistíme zdarma. Pro bližší informace či domluvení prohlídky nás neváhejte kontaktovat na uvedeném telefonním čísle.

 
zobrazit více
 
 
 


Doplňující informace:

ID inzerátu ESO: 4262521
Inzerát vydán: 15.07.2024
Inzerát aktualizován: 08.04.2026
ID zakázky v RK: 0836
Plocha: 1544 m2
Plocha pozemku: 1544 m2
 
 

 

Bleskový dotaz makléři

K prodeji, pozemky - stavební / bydlení, 1544 m2, Plzeň

Text dotazu *
Váš telefon *
Váš e-mail
Zobrazit kontaktní informace
Odeslat
 
 
 
 

Ve schránce je 0 inzerátů.

zobrazit celou schránku
 
 

Nalezli jsme dalších 11 nemovitostí v podobné ceně.

 
 
reklama