K prodeji, pozemky - stavební / bydlení, 1237 m2, Tuchoměřice

 
 
 
exkluzivně
nový
 
Lokalita:
Tuchoměřice
 
 
Cena:
11 133 000 Kč / za nemovitost
 
cena včetně provize, právního a hypotečního servisu
 
Nabídněte prodejci Vaši cenu 
 
 

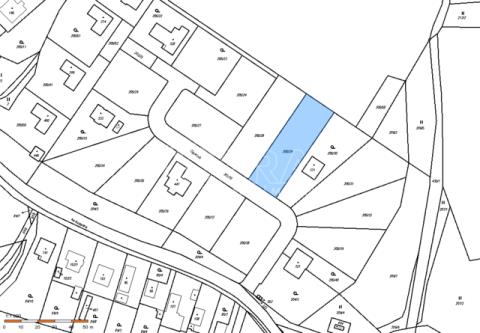
Hledáte místo, kde můžete začít novou kapitolu – jako rodina nebo jako podnikatel? V Tuchoměřicích, na dosah Prahy, na vás čeká pozemek vhodný ke stavbě rodinného domu ve vilové ulici Opuková. Místo, kde můžete vytvořit domov podle vlastních představ, a zároveň mít město i důležité dopravní tahy po ruce. Co můžete od lokality očekávat? • Pro rodiny Obec nabízí školu, školku, komunitní život a zázemí, kde děti snadno najdou přátele. Okolní krajina – pole, lesy a údolí s Únětickým potokem – dává prostor pro společné víkendy venku. • Pro podnikatele Blízkost Prahy, Letiště Václava Havla kousek od domu a rychlé napojení na D7 i Pražský okruh přináší časovou flexibilitu a možnost skloubit práci s rodinou bez dlouhých přesunů. • Občanská vybavenost a služby Restaurace a obchody v nedalekém centru POP Airport a k tomu nová nákupní zóna, kde snadno nakoupíte potraviny, drogerii i nábytek. Informace o pozemku • Výměra: 1 237 m² • Tvar: terén rovinatý, obdélník • Inženýrské sítě: elektřina, voda a kanalizace na hranici pozemku • Zastavitelnost: až 35 % plochy, což dává prostor pro dům i zahradu • Územní plán: nízkopodlažní bydlení Komu může pozemek dávat smysl? • Rodinám, které chtějí dům se zahradou v dosahu Prahy. • Podnikatelům, kteří často cestují nebo potřebují rychlé napojení na město a letiště. • Těm, kdo hledají pozemek s plnou připraveností sítí a jasnými regulativy výstavby. Pozemek je volně přístupný. Můžete se přijít podívat, projít si okolí a udělat si vlastní představu. Pokud budete chtít, zavolejte mi – ráda vás vezmu na místo a probereme vše osobně.

 
zobrazit více
 
 
 


Doplňující informace:

ID inzerátu ESO: 4373054
Inzerát vydán: 02.12.2025
Inzerát aktualizován: 03.12.2025
ID zakázky v RK: 18138
Plocha: 1237 m2
Plocha pozemku: 1237 m2
 
 

 

Bleskový dotaz makléři

K prodeji, pozemky - stavební / bydlení, 1237 m2, Tuchoměřice

Text dotazu *
Váš telefon *
Váš e-mail
Zobrazit kontaktní informace
Odeslat
 
 
 
 

Ve schránce je 0 inzerátů.

zobrazit celou schránku
 
 

Nalezli jsme dalších 26 nemovitostí v podobné ceně.

 
 
reklama