K prodeji, pozemky - stavební / komerční, Žulová

 
 
 
Lokalita:
Žulová
 
 
Cena:
370 000 Kč / za nemovitost
 
Cena včetně provize RK a právního servisu
 
uvedená cena je: včetně provize Nabídněte prodejci Vaši cenu 
 
 

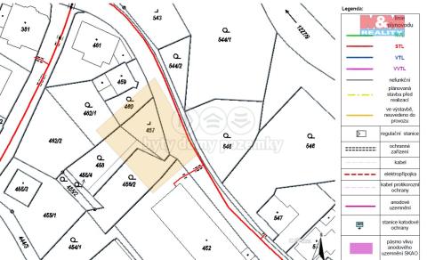
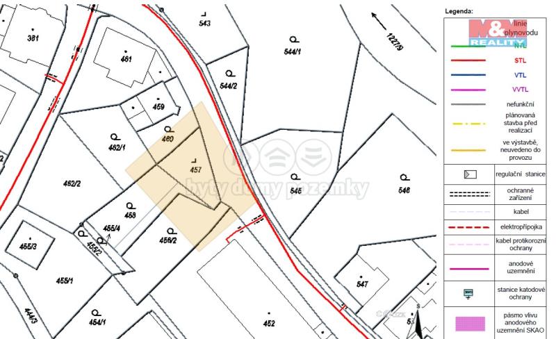
Nabízíme Vám ke koupi pozemek o celkové výměře 515 m2 určený územním plánem k výstavbě rodinného domu, který se nachází na okraji města Žulová. Pozemek se skládá ze dvou parcel. První parcela o výměře 190 m2 je vedena jako zbořeniště na katastru nemovitostí a dříve tu stála nemovitost. Druhá parcela o výměře 325 m2 je vedená jako zahrada. Pozemek se nachází v klidné části města u silnice a je ve svahu. Pozemek je vhodný na výstavbu rodinného domu, či umístění montovaného domu. Či pozemek využívat k rekreaci. Město Žulová nabízí dobrou občanskou vybavenost v pěším dosahu. Místo je také vhodné, jako výchozí bod k výletům z důvodu, že nedaleko jsou Jeseníky, Dolní Morava, či Přečerpávací elektrárna Dlouhé Stráně. Doporučujeme prohlídku. Více informací u makléře. S případným financováním nemovitosti, Vám rádi pomůžeme.

 
zobrazit více
 
 
 


Doplňující informace:

ID inzerátu ESO: 4355857
Inzerát vydán: 29.08.2025
Inzerát aktualizován: 30.08.2025
ID zakázky v RK: 900912628
Stav: Dobrý
Vlastnictví: Osobní
Umístění: Dobrý
Plocha pozemku: 515 m2
 
 

 

Bleskový dotaz makléři

K prodeji, pozemky - stavební / komerční, Žulová

Text dotazu *
Váš telefon *
Váš e-mail
Zobrazit kontaktní informace
Odeslat
 
 
 
 

Ve schránce je 0 inzerátů.

zobrazit celou schránku
 
 
reklama