K prodeji, pozemky - stavební / bydlení, 1660 m2, Grygov

 
 
 
Lokalita:
Grygov
 
 
Cena:
Info o ceně u RK
 
včetně právního servisu
 
Nabídněte prodejci Vaši cenu 
 
 

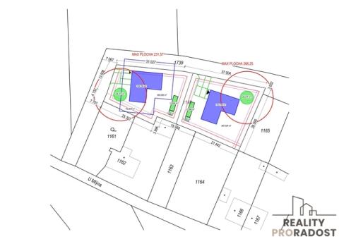
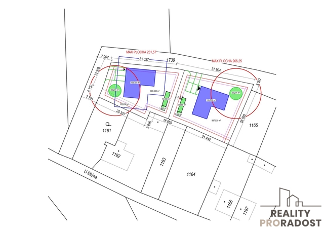
Prodej stavebního pozemku 1660 m² – Grygov, ul. U Mlýna. Nabízíme ke koupi atraktivní stavební pozemek o výměře 1660 m² v obci Grygov u Olomouce. Pozemek se nachází v klidné lokalitě na ulici U Mlýna a dle územního plánu a koeficientu zástavby umožňuje výstavbu dvou rodinných domů s garáží. Pozemek je částečně oplocený, osazený ovocnými stromy, disponuje vydaným povolením na vrtanou studnu a na pozemku je již zavedena elektřina. Přístup je zajištěn po asfaltové komunikaci, posledních cca 50 metrů je nutné cestu zpevnit. V bezprostřední blízkosti (cca 150 m) se nachází malebné rybníky s možností rybolovu a odpočinku, stejně tak les Království – přírodní rezervace, ideální pro procházky, sport i relax. Jedná se o jedinečné místo, které spojuje klid přírody s pohodlným bydlením v dosahu města. Vhodný jako investice ! Pro více informací či sjednání prohlídky kontaktujte makléřku.

 
zobrazit více
 
 
 


Doplňující informace:

ID inzerátu ESO: 4165714
Inzerát vydán: 26.06.2023
Inzerát aktualizován: 25.11.2025
ID zakázky v RK: 18622
Plocha: 1660 m2
Plocha pozemku: 1660 m2
 
 

 

Bleskový dotaz makléři

K prodeji, pozemky - stavební / bydlení, 1660 m2, Grygov

Text dotazu *
Váš telefon *
Váš e-mail
Zobrazit kontaktní informace
Odeslat
 
 
 
 

Ve schránce je 0 inzerátů.

zobrazit celou schránku
 
 

Nalezli jsme dalších 19 nemovitostí v podobné ceně.

 
 
reklama