K prodeji, pozemky - stavební / bydlení, 1289 m2, Hustopeče

 
 
 
exkluzivně
 
Lokalita:
Hustopeče
 
 
Cena:
5 200 000 Kč / za nemovitost
 
Cena včetně provize a právního servisu.
 
Nabídněte prodejci Vaši cenu 
 
 

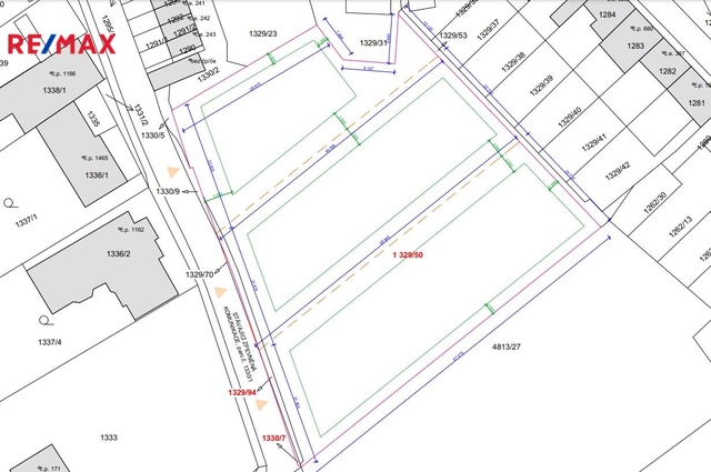
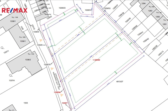
Poslední volný pozemek ze souboru stavebních pozemků v centru Hustopečí na ulici kpt. Jaroše. Pozemek o rozloze 1289 m² s uliční šíří 22 m a možností výstavby samostatně stojícího domu či řadového dvojdomu. Pozemek se nachází přímo v Hustopečích, s inženýrskými sítěmi dostupnými na hranici pozemku. Dle územního plánu je možné zastavit až 40% plochy pro stavbu domu s dvěma nadzemními podlažími, podsklepením a obytným podkrovím. Podrobné info: - Aktuální je územní plán po změně č. 6 města Hustopeče – schválený k pořízení 27.04.2023 usnesením ZM č. 7/V/23, nabytí účinnosti ke dni 11.07.2024 opatřením obecné povahy. Právě probíhá změna č.7 (schválení 19.12.2024 ZM č. 11/XVII/24) a 8 (schválení k pořízení 12.06.2025 uZM č. 7/XXII/25). Předmětná parcela se ve znění po změně č. 6 nachází ve stabilizované ploše zastavěného území s využitím BI plochy bydlení individuální. - Dle ÚP a kap. 2.1. a 2.2. je hlavním využitím plochy bydlení individuální je bydlení v rodinných domech. Přípustné jsou stavby pro bydlení v RD, stavby související, rodinné rekreace, technická a dopravní infrastruktura a jiné. Podmíněně přípustné jsou služby a provozovny slučitelné s bydlením. Nepřípustné jsou stavby pro skladování a výrobu neslučitelnou s funkcí bydlení a další nesouvisející. - Pozemek se nenachází v záplavovém území ani v aktivní zóně záplavových území ani v blízkosti takových území vodních toků. - Dle světových stran a vrstevnic je pozemek s mírným až středním severním až severovýchodním sklonem okolo 7 stupňů. Nadmořská výška se pohybuje od cca 197 m. n. m. po cca 205,6 m. n. m. Průměrné stoupání/klesání na 10 metrů je přibližně 1,2 metrů. - Musí být dodržena výšková hladina okolní zástavby, max. podsklepené 2 NP vč. podkroví. Je stanoven koef. zeleně 0,3 u řadových a 0,4 u samostatných RD. - K dispozici rozbor pozemku a územně plánovací informace. Uvedená výměra je orientační. Prodávající si vyhrazuje právo vybrat kupujícího na základě jím zvolených kritérií.

 
zobrazit více
 
 
 


Doplňující informace:

ID inzerátu ESO: 4342647
Inzerát vydán: 29.06.2025
Inzerát aktualizován: 27.03.2026
ID zakázky v RK: 417817
Plocha: 1289 m2
Plocha pozemku: 1289 m2
 
 

 

Bleskový dotaz makléři

K prodeji, pozemky - stavební / bydlení, 1289 m2, Hustopeče

Text dotazu *
Váš telefon *
Váš e-mail
Zobrazit kontaktní informace
Odeslat
 
 
 
 

Ve schránce je 0 inzerátů.

zobrazit celou schránku
 
 

Nalezli jsme dalších 13 nemovitostí v podobné ceně.

 
 
reklama