K prodeji, Rodinný dům, Mutěnice, Zahradní

 
 
 
exkluzivně
 
Lokalita:
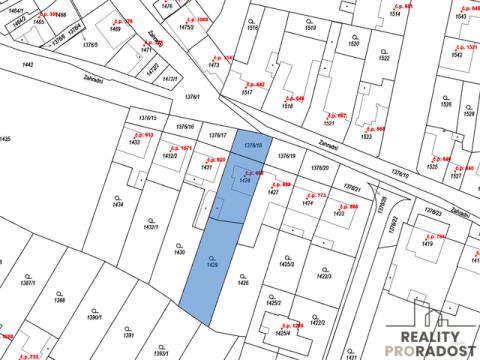
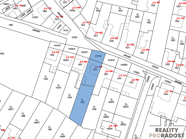
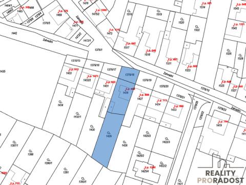
Mutěnice, Zahradní
 
 
Cena:
9 900 000 Kč / za nemovitost
 
 
Rezervováno Nabídněte prodejci Vaši cenu 
 
 

Ve výhradním zastoupení majitelů nabízím k prodeji jedinečný rodinný dům v obci Mutěnice, situovaný na klidné ulici Zahradní. Tento cihlový, patrový dům s dvěma bytovými jednotkami je ideálním místem pro rodiny s dětmi, protože kombinuje pohodlí moderního bydlení s bezpečným a příjemným prostředím. S celkovou užitnou plochou cca 230 m² a zastavěnou plochou cca 200 m² se dům pyšní dostatkem prostoru pro všechny. Dům, který prošel kompletní rekonstrukcí v roce 2010, nabízí moderní vybavení včetně nové elektřiny v mědi, vody a odpadů v plastu, nových omítek a podlah. K vytápění slouží plynový kondenzační kotel, což zajišťuje nízké náklady na energii a efektivní teplo během zimních měsíců. Dům je navíc zateplen, což přispívá k jeho energetické účinnosti. Dispozice domu: 1 patro 4+1 - vstupní chodba - obývací pokoj ( je zde podlahové vytápění) - kuchyň s velkou jídelnou se vstupem na terasu (zde je také podlahové vytápění) - spíž - ložnice - 2 dětské pokoje propojené šatnou - vstup na půdu - koupelna s vanou (podlahové vytápění) - samostatné WC Přízemí 1+1 - kuchyň se vstupem na terasu - 1 velký pokoj - koupelna se sprchovým koutem a s WC - technická místnost s kondenzačním kotlem - sklep - vstup do garáže pro 2 auta Na zahradě je technická místnost s udírnou a zahradní domek. Jedním z hlavních lákadel této nemovitosti je krásná zahrada o rozloze 547 m², která poskytuje ideální prostor pro hry dětí, rodinné grilování či relaxaci pod širým nebem. Zahrada může být také skvělým místem pro vybudování dětského herního koutku, což ocení zejména rodiny s malými dětmi. V blízkosti domu se nachází škola, školka a dětské hřišťe, které zajistí vašim dětem snadný přístup ke vzdělání a prostoru pro aktivní hraní. Lokalita je velmi dobře dostupná nejen autem, ale i veřejnou dopravou, což usnadní každodenní dojíždění. V okolí je velké množství cyklistických tras. Obec Mutěnice je vyhledávanou vinařskou obcí. Pro pohodlné parkování je k dispozici garáž pro 2 auta, což ocení zejména rodiny, které disponují více vozidly. Možnost parkování aut před domem. Tento dům je ideální volbou pro ty, kteří hledají bezpečný a přátelský domov pro svoji rodinu na klidném místě s veškerou občanskou vybaveností v blízkém dosahu. V případě zájmu o prohlídku nás neváhejte kontaktovat.

 
zobrazit více
 
 
 


Doplňující informace:

ID inzerátu ESO: 4371268
Inzerát vydán: 23.11.2025
Inzerát aktualizován: 18.02.2026
ID zakázky v RK: 28329
Budova je z: Cihla
Stav: Velmi dobrý
Umístění: Velmi dobrý
Plocha pozemku: 1066 m2
Užitná plocha: 200 m2
Podlahová plocha: 1066 m2
Plocha zahrady: 547 m2
Zastavěná plocha: 230 m2
Energetická náročnost budovy:
E - Nehospodárná
 
 

 

Bleskový dotaz makléři

K prodeji, Rodinný dům, Mutěnice, Zahradní

Text dotazu *
Váš telefon *
Váš e-mail
Zobrazit kontaktní informace
Odeslat
 
 
 
 

Ve schránce je 0 inzerátů.

zobrazit celou schránku
 
 

Nalezli jsme dalších 21 nemovitostí v podobné ceně.

 
 
reklama